news
22.02.2018
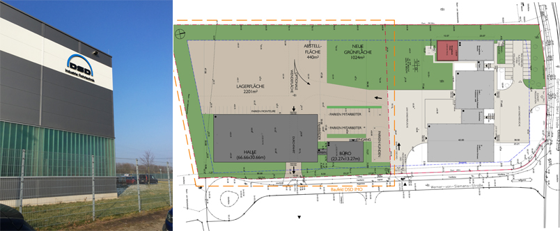
Neubau Bürogebäude und Produktionshalle DSD Industriemontagen, Delitzsch bei Leipzig
Mit Fertigstellung der Genehmigungsplanung im Januar 2018 für den Neubau eines Bürogebäudes und einer Produktionshalle auf dem Gelände der Firma DSD Industriemontagen in Delitzsch bei Leipzig beginnt nun die Detaillierung der Planungen im Zuge der Ausführungsplanung. Die Gebäude entstehen analog zu den im angrenzenden nördlichen Nachbargrundstück der DSD Industrie Rohrtechnik bereits bestehenden Bauwerken. Optisch und gestalterisch werden die neuen Gebäude das gleiche charakterliche Aussehen erhalten wie der Bestand und somit als gestalterische Einheit das Gesamtbild abrunden.







































































































































































